The City of Valley City is excited to share that construction has been completed on the 10-foot-wide concrete sidewalk/shared-use path along Wintershow Road. A shared-use path is a paved trail designed for both pedestrians and bicyclists, making it safer and easier for everyone to get around. This segment will run from 8th Avenue SW to approximately 2nd Avenue SW near AgCountry Farm Credit Services.
Prior to this project, there were no sidewalks or other pedestrian facilities along this section of Wintershow Road. This area is home to destinations that attract both foot and bicycle traffic, including the Winter Show building, Medicine Wheel Park, apartment complexes, hotels, restaurants, businesses, and a church. Once complete, the path will connect southeast Valley City neighborhoods—including three large apartment complexes—to the existing sidewalk system along 8th Avenue SW. This provides direct, safe access to gas stations, athletic fields, Washington Elementary School, and the Gaukler Family Wellness Center.
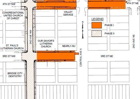
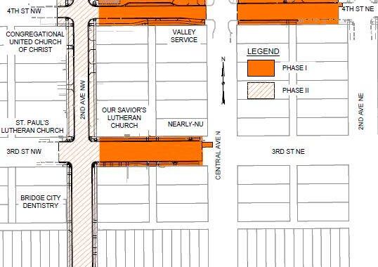
This project is part of a larger vision to create a connected trail network in Valley City that promotes safe routes and encourages healthy, active lifestyles. It is the first of two planned projects along Wintershow Road, with the second phase—extending the shared-use path from 8th Avenue SW to 5th Avenue SE—scheduled for 2026. Funding for these projects comes from the NDDOT’s Transportation Alternatives Program, with local matching funds provided by the City’s Tourism and R&R Funds.












